
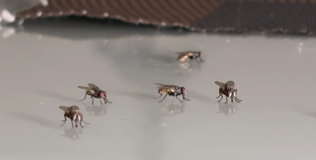
A Unidade de Pronto Atendimento (UPA) e o Hospital Regional da cidade de Sousa, localizada no Sertão da Paraíba, registraram um crescimento significativo no número de atendimentos relacionados à virose da mosca até esta terça-feira (24). Essa infecção é causada pela transmissão de vírus e bactérias através do inseto, que tem provocado sintomas preocupantes entre os pacientes atendidos.
Segundo a direção da UPA, o número de atendimentos saltou de uma média diária de 180 para entre 260 e 300 pacientes. Dentre os sintomas mais frequentes estão a diarreia, dor abdominal, vômito, náuseas e febre. Vanessa Oliveira, diretora da UPA em Sousa, ressaltou que muitos pacientes apresentam desidratação rápida, e os casos mais graves são observados principalmente em idosos.
A unidade disponibiliza atualmente oito leitos em enfermaria e dois de isolamento, todos ocupados, além da área verde, que também está cheia, conforme as últimas atualizações. Esse cenário evidencia a demanda crescente causada pela virose.
O Hospital Regional de Sousa também confirmou uma alta expressiva nos atendimentos, quase quadruplicando de 80 para uma média diária de 300 pacientes durante o período de maior proliferação da virose, que acontece entre março e julho, época marcada por mudanças climáticas. A instituição destacou que, neste período, surgem simultaneamente diversos quadros, como sintomas respiratórios, arboviroses e diarréia, caracterizados pela virose da mosca.
Essa condição se transmite pelo inseto que atua como vetor, e a exposição de alimentos e água sem higienização adequada facilita a disseminação. Por isso, as recomendações incluem a higienização das mãos e dos alimentos, além do uso de máscara ao apresentar sinais da infecção.
Pacientes relatam o impacto da doença em suas rotinas. Lidiane Soares, mãe de Miguel, que teve vômito e diarreia, buscou atendimento após desconfiar da virose. Já Francisco de Assis, taxista, contou que os sintomas comprometeram seu trabalho devido à forte diarréia e dores abdominais.
Considerando o agravamento dos sintomas, especialistas orientam que os afetados procurem atendimento médico rapidamente para receber tratamento adequado e evitar complicações.